
-70 साल में दूसरा ऐसा शक्तिशाली तूफान
नई दिल्ली तिथि। 1 सितंबर 2022, गुरुवार
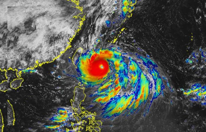
दुनिया को 2022 के सबसे शक्तिशाली तूफान के लिए तैयार रहना है। चीन और जापान को इस तूफान से सबसे ज्यादा खतरा है। पूर्वी चीन सागर के तट और जापान के दक्षिणी हिस्से में आंधी से सबसे ज्यादा नुकसान होगा।
-पहला चक्रवात 1961 में और दूसरा 1997 में आया था
-हिनामानोर अगस्त 2022 में आने वाला सबसे शक्तिशाली और शक्तिशाली चक्रवात है
यूएस ज्वाइंट टाइफून वार्निंग सेंटर (JTCW) के अनुसार, सुपर टाइफून हिनामानोर ने लगभग 257 किमी / घंटा की रफ्तार से हवाएं चलाई थीं। अब इस तूफान की रफ्तार 313 KM/H है. जिससे लहरों की ऊंचाई 15 मीटर तक पहुंच गई है। आने वाले दिनों में इसकी रफ्तार और कम होने की संभावना है।
जापान मौसम विज्ञान एजेंसी के अनुसार आंधी की गति निर्धारित की गई है। तदनुसार, हिनामानोर अगस्त 2022 में आने वाला सबसे शक्तिशाली और शक्तिशाली चक्रवात है।
बुधवार सुबह करीब 10 बजे तूफान जापान के ओकिनावा से 230 किमी पूर्व में था। इसके उत्तर-पूर्व की ओर रयूकू द्वीप समूह की ओर बढ़ने की अधिक संभावना है।
कमजोर हो सकता है यह तूफान
यूएस जेटीडब्ल्यूसी के मुताबिक, आने वाले दिनों में सुपर टाइफून कमजोर पड़ सकता है। कोलोराडो स्टेट यूनिवर्सिटी के अध्यक्ष फिल क्लॉट्ज़बैक ने कहा, "हमारे पास कई सालों का रिकॉर्ड है। 70 से अधिक वर्षों में केवल दो बार अगस्त में ऐसे शक्तिशाली तूफान आए हैं। पहला चक्रवात 1961 में और दूसरा 1997 में आया था, लेकिन यह हिनामनोर जितना शक्तिशाली नहीं था।
टिप्पणियाँ
एक टिप्पणी भेजें